Siêu bão Bolaven mạnh thứ hai trên thế giới trong năm nay
| Siêu bão Doksuri ảnh hưởng đến vùng biển nhiều địa phươngSáng nay 27/7 siêu bão Doksuri chính thức trở thành cơn bão số 2Siêu bão Saola xuất hiện trong dịp nghỉ lễ Quốc khánh 2/9? |
Tính đến sáng 12/10, tâm bão cách Philippines 3.218 km về phía đông đông bắc và đang di chuyển về phía bắc trên vùng biển rộng. Sức gió duy trì của bão đạt 290 km/h, giật lên tới 346 km/h.
Bolaven là cơn bão cấp 5 thứ 8 trong năm nay. Số lượng lớn các cơn bão cấp cao nhất trong năm nay có liên quan đến sự kết hợp giữa biến đổi khí hậu do con người gây ra và kiểu khí hậu El Nino, khiến nước biển nóng lên đến mức kỷ lục.
Bolaven dự kiến sẽ tiếp tục di chuyển qua bắc Thái Bình Dương, tránh đất liền vì nó dần yếu đi khi gặp vùng nước lạnh hơn. Tuy nhiên, hệ thống này vẫn sẽ ảnh hưởng đến thời tiết cách đó nửa vòng trái đất.
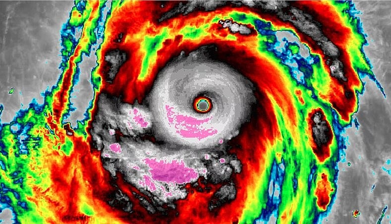
![]() |
| Ảnh mây vệ tinh hồng ngoại có thể thấy rõ mắt bão với tường mây đối lưu xung quanh cực kì mạnh mẽ. Ảnh: NASA WorldView |
Theo các chuyên gia dự báo thời tiết, bão Bolaven sẽ ảnh hưởng đến thời tiết trên khắp Bắc Mỹ. Hiện tại, Bolaven vẫn là mối nguy hiểm chủ yếu đối ngành hàng không và tàu thuyền trên biển.
Bolaven bùng nổ từ cơn bão cấp 1 với sức gió 145 km/h lên siêu bão cấp 5 với sức gió 247 km/h chỉ trong 12 giờ - gấp 4 lần tốc độ cần thiết để đủ điều kiện là “tăng cấp nhanh chóng”.
Trong 24 giờ, tốc độ gió của bão tăng tới 152 km/h. Con số này không thấp hơn nhiều so với kỷ lục thế giới về tốc độ tăng cường gió 193 km/h trong 24 giờ do bão Patricia nắm giữ năm 2015.
Bolaven dự kiến sẽ vẫn là cơn bão cấp 5 trong 24 giờ tới khi nó di chuyển về phía bắc rồi đến đông bắc. Trong 2 đến 5 ngày tiếp theo, nó sẽ tăng tốc về phía đông bắc và mở rộng quy mô trong khi sức gió cực đại giảm trên vùng nước mát hơn.
Vào đầu tuần tới, Bolaven có thể sẽ ảnh hưởng đến thời tiết miền đông Bắc Mỹ với mưa lớn và giông bão.
Đọc nhiều

Một kỳ bầu cử thành công: Hơn 76 triệu cử tri đi bỏ phiếu

Việt Nam - Hoa Kỳ: Nhiều cơ hội hợp tác trong lĩnh vực công nghệ

Cà Mau: Hỗ trợ doanh nghiệp đổi mới công nghệ, nâng cao giá trị hàng hóa

Văn hóa kinh doanh: Nền tảng phát triển bền vững của doanh nghiệp

Xuất khẩu phân bón tăng gần 39% trong 2 tháng đầu năm 2026

Tạo nền tảng pháp lý để Việt Nam phát triển trong kỷ nguyên mới

Tháng 3/2026: Hơn 9.800 tỷ đồng trái phiếu doanh nghiệp đáo hạn

Xuất khẩu gạo 2 tháng đầu năm tăng nhẹ, đạt 1,27 triệu tấn
Gạo thơm Việt Nam tiếp tục mở rộng hiện diện tại thị trường EU





